Działka 1600 Kołaków, Guzowatka, Radzymin w otulinie lasów
Kołaków gm. Dąbrówka Pokaż na mapie ›
Odświeżone: Niedziela, 04 Styczeń, 2026 15:46
399 000 zł
249 zł/m2
Szczegóły ogłoszenia
- Kategoria: Działki i grunty / Sprzedaż
- Pow. działki:1600 m2
- Rodzaj działki:Budowlana
- Sprzedaż:Pośrednik
- Cena: 399 000 zł / 249 zł/m2
Opis oferty
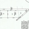
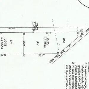
Lokalizacja Kołaków ul Zaciszna numer ewidencyjny 294/2 przy drodze gminnej oraz udział w drodze bocznejPowierzchnia 1600m
Wymiary szerokość ok 30mx70x40x30
kształt trapez
Media przy działce prąd, gaz woda nieco dalej
Linia zabudowy pierwsza, narożna
Przeznaczenie zabudowa mieszkaniowo pensjonatową i rekreację- plan zagospodarowania jest
Dojazd utwardzony
Okolica nowe domy, lasy
Działka 1600m2 przy drodze gminnej bezpośrednio prowadzącej do szkoły w Guzowatce gm Dąbrówka ok 300m w sąsiedztwie domy wolnostojące
Sprawdź zainteresowanie tym ogłoszeniem
Wyświetlenia
Data dodania
Ostatnio widziany
Obserwujących
Wysłane zapytania
Odsłony telefonu
Nieruchomości Monika Błaszczak
Konto firmowe
Na Lento.pl od 03 kwi 2025
Strona użytkownika
- Wypromuj ogłoszenie
- Zgłoś naruszenie
- Drukuj ulotkę
- Edytuj/usuń ogłoszenie
- Udostępnij ogłoszenie
- Dodaj na Facebook













